Д.т.н. Шаповалов Н.А., к.т.н. Тикунова И.В.,
к.т.н. Загороднюк Л.Х., аспирант Щекина А.Ю.
Белгородский государственный технологический университет им.
В.Г. Шухова, Россия
Исследование микроструктур
гидратированных вяжущих композиций на техногенном сырье
В
качестве наполнителей, полученных из техногенных отходов различных производств,
наиболее широко изпользуются: золы ТЭС; отходы дробления горных пород; отходы добычи
горнодобывающей промышленности (вскрышные и попутно-добываемые горные породы);
шлаки, шламы и пыли металлургических
производств [1]. В настоящее время проводятся всё новые разработки по внедрению в производство
вяжущих веществ и других техногенных отходов, таких как отходы обогащения
горнодобывающей промышленности.
Например, исследована возможность использования отходов мокрой магнитной
сепарации железных руд для получения вяжущих веществ [2].
Однако применение отходов флотационного обогащения железных руд в качестве наполнителя для композиционных вяжущих веществ и ССС на сегодняшний день остаётся вопросом
актуальным и требующим новых исследований.
Отходы
флотационного обогащения железных руд являются одним из видов наиболее опасных
для окружающей среды и здоровья человека отходов добычи и обогащения железных
руд. Поэтому вопрос о внедрении во
вторичное производство этого вида отходов нельзя оставлять без внимания.
В
рамках научно-исследовательской работы совместным помолом в вибрационной
мельнице были получены вяжущие композиции на основе отходов флотационного обогащения железных руд Михайловского горнообогатительного
комбината в качестве наполнителя и портландцемента типа ЦЕМ I 42,5 в
качестве вяжущего вещества. Содержание минерального наполнителя в вяжущих
композициях варьировали в количестве – 20, 30 и 40%. Продолжительность помола сырьевых компонентов осуществлялась – 10, 30 и 50 мин. В
результате физико-механических испытаний
полученных составов [3],
установлено оптимальное количество
отхода в составе вяжущей
композиции − 30% и оптимальное время совместного помола материалов
– 30 мин. Прочность полученной композиции
превышает прочность
бездобавочного не активированного цемента на
64%..

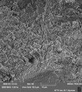
ув.
микроскопа 5000 ув. микроскопа 20000 ув. микроскопа 50000
Рис. 1. Микрофотография
поверхности излома в возрасте 28 сут
гидратированного бездобавочного цемента
Для
исследования микроструктур
гидратированных вяжущих композиций и бездобавочного не активированного
портландцемента в возрасте 28 суток нормального твердения применялся растровый электронный микроскоп высокого
разрешения TESCAN MIRA 3 LMU. Сканирующая (растровая) электронная микроскопия
позволяет получить изображения объёмных электронно-плотных образцов с высоким
разрешением путём сканирования образцов тонко сфокусированным пучком электронов
[4].
В соответствии
с классическими представлениями, развитие кристаллической структуры цементного
камня происходит в два этапа: на первом этапе формируется пространственный
кристаллический каркас и возникают контакты срастания между кристаллами, а на
втором этапе происходит обрастание уже имеющегося каркаса. К возрасту
28 сут отмечается плотная масса скола цементного камня (рис. 1, х500)
представляющая собой отдельные блоки, состоящие из слоев образованных
отдельными зернами-чешуйками, которые в свою очередь, состоят из мелких
шарообразных включений (рис.1, х2000) просматриваются незначительные поры 0,5
мкм в диаметре.

ув. микроскопа 1000 ув. микроскопа 3000 ув. микроскопа 5000

ув. микроскопа 10000 ув. микроскопа 20000 ув. микроскопа 20000
Рис. 2. Микрофотографии гидратированных
вяжущих композиций
в возрасте 28 сут, содержащих 30 % отхода, полученных при 10 мин помола

ув. микроскопа 1000 ув.
микроскопа 3000 ув. микроскопа 5000

ув. микроскопа 10000 ув. микроскопа
20000 ув. микроскопа 20000
Рис. 3. Микрофотографии
гидратированных вяжущих композиций
в возрасте 28 сут, содержащих 30 % отхода, полученных при 30 мин помола
На
микрофотографии видно, что блоки выглядят по-разному: одни имеют ясно выраженную слоистость, другие похожи на
бесформенную массу, что объясняется
тем, что плоскости сколов в одних блоках проходят по слою, а в других по чешуйкам, т.к. сами блоки ориентированы в
разных направлениях. При больших увеличениях (рис.1, х20000, х50000) ясно
видно, что бесформенная масса это те же слои чешуек. Эти блоки
представляют собой гидросиликаты кальция переменного состава.
Для
исследования микроструктур вяжущих композиций были выбраны вяжущие композиции с
оптимальным содержанием отхода и
различной продолжительностью помола. Микроструктуры вяжущих композиций, приготовленных с различной продолжительностью помола различаются.
С
увеличением продолжительности помола, пористость образцов снижается. В
результате кристаллизации новообразований в порах наблюдается зарастание пор и
уменьшение пористости камня. В цементном камне наблюдается зарастание не только межзернового
пространства, но и пор, приводящее к повышению прочности цементного камня,
полного зарастания пор не наблюдается. Новообразования кристаллизуются на поверхности зерен наполнителя, что отчетливо видно на
микрофотографиях.
В
гидратированных вяжущих композициях, отмечается равномерно распределённая
мелкозернистая структура, обусловленная совместным помолом и аморфизацией зерён минерального
наполнителя, что способствует активному протеканию процессов гидратации в
присутствии цемента.

ув. микроскопа 1000 ув.
микроскопа 3000 ув. микроскопа 5000

ув. микроскопа 10000 ув. микроскопа
20000 ув. микроскопа 20000
Рис. 4. Микрофотографии гидратированных
вяжущих композиций в возрасте 28 сут, содержащих 30 % отхода, полученных
при 50 мин помола
Таким
образом, электронные микроскопические исследования продуктов гидратации цементов, содержащих отходы флотационного
обогащения железных руд, подтвердили эффективность использования их в составе
вяжущих композиций в качестве
минерального наполнителя.
Установлено,
что в процессе совместной гидратации цемента и тонкодисперсных отходов
флотационного обогащения железных руд
наблюдается равномерное распределение продуктов гидратации в объеме
композита, что обеспечивает высокие физико-механические характеристики вяжущим композициям на основе отходов флотационного обогащения
железных руд, полученных совместным помолом в вибрационной мельнице.
Литература:
1. Лесовик
В.С. Строительные материалы из отходов горнорудного производства Курской
магнитной аномалии. Учебное пособие. М.: Белгород: Изд. АСВ, 1986. 155 с.
2. Лесовик
Р.В. Мелкозернистые бетоны на композиционных вяжущих и техногенных песках :
дис.… докт. техн. наук. Белгород. 2009.
С. 16-17.
3. Загороднюк Л.Х., Щекина А.Ю.
Вяжущие композиции на основе отходов флотационного обогащения неокисленных
железистых кварцитов / Векторы
развития современной науки: сб. материалов конф.
Междунар. нач.-практ. конф. // ФГБОУ ВПО «Башкирский гос. ун-т» (Уфа
20-21 янв. 2014 г.), Уфа: Изд-во
Исследовательский центр информационно-правовых технологий , 2014 С. 115-118.
4. Строкова В. В., Лесовик Р. В.
Оценка микроструктуры искусственных композитов
// Строительные
материалы. № 3.
2007. С. 97-100.