Кужелев Игорь
Александрович.
магистрант Таразского
Государственного Университета имени М.Х. Дулати.
Альтернативный
вариант конструкции водоприемного устройства малой гидроэлектростанции.
Аннотация: Наиболее точное и
развернутое определение рассматриваемого сооружения: водоприемник – это
устройство, с помощью которого осуществляется забор воды из водотока или
водоема [1]. Сооружение должно сохранять работоспособность при возникновении
различных осложнений, вызванных: снижением глубин воды или расходов воды у
водоприемных отверстий; образованием в потоке внутриводного льда;
транспортировкой потоком наносов, сора и т.п.; регулированием стока на ГЭС;
отбором воды для прочих целей; захватом загрязнений водотока или водоема;
переформированием русла или побережья водотока или водоема; вдольбереговыми
перемещениями наносов и др [2]. Наибольшее распространение имеют водоприемники
с вертикальным расположением водоприемных отверстий. Водоприемники разного типа
(не менее двух), работающие совместно (заменяя друг друга) либо независимо один
от другого и входящие в состав одного водозабора, называют комбинированными
[3]. Комбинированные водоприемники наиболее приспособлены к условиям работы при
большом количестве наносов, а значит наиболее перспективны.
Предлагаемый
альтернативный вариант водоприемного устройства
(водоприемник - водовыпуск).
Данное устройство относится к
гидроаккумулирующим электростанциям (ГАЭС), а также может быть использовано в
водоприемных сооружениях гидроэлектростанций (ГЭС) и водовыпускных устройствах
крупных насосных станций, т.е. для всех видов гидротехнических сооружений. Водоприемник-водовыпуск обеспечивает
сопряжение водоема и напорного водовода, плавное поступление воды из водоема в
водовод при работе ГЭС в турбинном режиме или же плавный выход потока воды из
напорного водовода в водоем при работе ГАЭС в насосном режиме. В связи с
чем водоприемно-водовыпускная камера имеет раструбную форму, т.е. со стороны
водоема имеет большое поперечное сечение, а ближе к напорному водоводу -
значительно меньшее. Сужение или угол раструбности камеры значительно влияет на
потери напора и энергии потока. С целью обеспечения наименьших потерь напора и
в турбинном, и в насосном режимах работы потолок водоприемно-водовыпускной
камеры выполняют с возможностью изменения угла раструбности данной камеры за
счет шарнирного крепления рамы, размещенной на ее верхней грани [4].
Недостатком рассматриваемого устройства является
сложность ее эксплуатации. Она обусловлена необходимостью использования
подъемного механизма для опускания и подъема потолочного элемента - верхней
рамы, применяющийся при изменении режима работы ГАЭС с турбинного на насосный и
обратно [1]. При этом необходимо отслеживать изменение режима работы ГАЭС и
своевременно обеспечивать перемещение потолочного элемента. Недостаток
устройства заключается в низкой надежности его работы, поскольку перемещение
потолочного элемента зависит от работоспособности подъемного механизма. При
выходе из строя этого механизма невозможно будет обеспечить перемещение
потолочного элемента.
Сущность предлагаемого устройства состоит в
упрощении эксплуатации, повышении надежности работы водоприемника-водовыпуска, а также в
уменьшении его материалоемкости и стоимости. Технический результат -
обеспечение упрощения эксплуатации за счет автоматического изменения
раструбности водоприемно-водовыпускной камеры путем изменения толщины
разделителя потока; повышение надежности работы всего водоприемника-водовыпуска путем
обеспечения надежной автоматической работы разделителя потока, уменьшение
материалоемкости и стоимости водоприемника-водовыпуска.
Эффект от
1
использования
предлагаемого устройства заключается в упрощении эксплуатации из-за
автоматического
изменения толщины разделителя потока и раструбности водоприемно-водовыпускной
камеры, а также повышение надежности работы всего устройства из-за обеспечения надежной автоматической работы
разделителя потока. Кроме того, уменьшается материалоемкость и стоимость водоприемника за счет использования
для разделителей потока более дешевого материала.
Подробное описание устройства:
Водоприемник-водовыпуск включает в себя:
водоприемно-водовыпускную камеру, пазы затвора, напорный водовод и разделители потока,
размещенные в водоприемно-водовыпускной камере. Водоприемно-водовыпускная
камера снабжена управляющим элементом и водопроводом, а разделители потока
выполнены полыми с возможностью изменять свою толщину и включают концевые и
промежуточные балки и эластичную оболочку с фиксирующими тягами. Концевые балки
выполнены со своих внешних сторон удобообтекаемой формы, промежуточные балки
выполнены полыми с перфорацией по своей длине. Эластичная оболочка выполнена в
виде замкнутой полости. Управляющий элемент выполнен в виде трубки, свободный
конец которой размещен в водоприемно-водовыпускной камере и повернут в сторону
напорного водовода, а другой конец посредством водопровода соединен с
внутренней полостью промежуточной балки разделителя потока [5].
Концевые и промежуточные балки размещены
внутри полости эластичной оболочки и своими концевыми частями жестко связаны со
стенками водоприемно-водовыпускной камеры; эластичная оболочка связана
посредством жесткого крепления с внешними удобообтекаемыми сторонами концевых
балок разделителя потока, а фиксирующие тяги размещены внутри эластичной
оболочки и связывают противоположные поверхности эластичной оболочки с
возможностью ограничения максимального расстояния между ними.

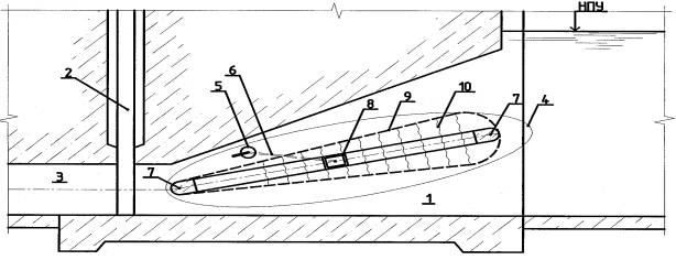
Рис. 1. Конструкция
рассматриваемого водоприемника-водовыпуска.
Указанный технический результат достигается
тем, что водоприемник-водовыпуск
снабжен управляющим элементом и водопроводом, а разделители потока выполнены
полыми с возможностью изменять свою толщину и включают концевые и промежуточные
балки и эластичную оболочку с фиксирующими тягами, при этом концевые балки
выполнены со своих внешних сторон удобообтекаемой формы, промежуточные балки
выполнены полыми с перфорацией по своей длине, эластичная оболочка выполнена в
виде замкнутой полости, а управляющий элемент выполнен в виде трубки, свободный
конец которой размещен в водоприемно-водовыпускной камере и повернут в сторону
напорного водовода, а другой конец посредством водопровода соединен с
внутренней полостью промежуточной балки разделителя потока, причем концевые и
промежуточные балки размещены внутри полости эластичной оболочки и своими
концевыми частями жестко связаны со стенками водоприемно-водовыпускной камеры,
эластичная оболочка связана посредством жесткого крепления с
2
внешними
удобообтекаемыми сторонами концевых балок разделителя потока, а фиксирующие
тяги размещены внутри
эластичной оболочки и связывают противоположные поверхности эластичной оболочки
с возможностью ограничения максимального расстояния между ними [5].
На рис.
2 представлен поперечный разрез водоприемника-водовыпуска, где приняты следующие обозначения:
водоприемно-водовыпускная камера 1, паз затвора 2, напорный водовод 3,
разделитель потока 4, управляющий элемент 5, водопровод 6, концевые балки 7,
промежуточная балка 8, эластичная оболочка 9, фиксирующая тяга 10.

Рис.2. Поперечный разрез водоприемника-водовыпуска.
На рис. 3
- план-разрез рассматриваемого водоприемника-водовыпуска
со следующими обозначения: водоприемно-водовыпускная камера 1, паз затвора 2,
напорный водовод 3, управляющий элемент 5, водопровод 6, концевые балки 7,
промежуточная балка 8, трубка 11, полость 12.

Рис. 3.
План-разрез водоприемника-водовыпуска.
На рис.4.
- разрез разделителя потока при работе водоприемника-водовыпуска в режиме выпуска потока в водоем
(диффузорном), где приняты следующие обозначения: концевые балки 7,
промежуточная балка 8, эластичная оболочка 9, фиксирующая тяга 10, полость 12,
жесткое крепление 13.
3

Рис. 4. Разрез разделителя потока при работе водоприемника-водовыпуска в режиме выпуска потока в водоем.
На рис.5
представлен разрез разделителя потока при работе водоприемника-водовыпуска в режиме входа потока в водовод
(конфузорном), где приняты следующие обозначения: концевые балки 7,
промежуточная балка 8, эластичная оболочка 9, фиксирующая тяга 10, полость 12,
жесткое крепление 13.

Рис.5. Разрез разделителя потока при работе водоприемника-водовыпуска в режиме входа потока в водовод.
Водоприемник-водовыпуск включает
водоприемно-водовыпускную камеру 1, паз затвора 2, напорный водовод 3 и
разделитель потока 4, размещенный в водоприемно-водовыпускной камере 1,
снабженной управляющим элементом 5 и водопроводом 6, а разделитель потока 4
выполнен полым с возможностью изменять свою толщину и включает в себя концевые
балки 7 и промежуточную балку 8, эластичную оболочку 9 с фиксирующими тягами
10, при этом концевые балки 7 выполнены со своих внешних сторон удобообтекаемой
формы, балка промежуточная 8 выполнена полой с перфорацией по своей длине,
эластичная оболочка 9 выполнена в виде замкнутой полости, а управляющий элемент
5 выполнен в виде трубки 11, свободный конец которой размещен в
водоприемно-водовыпускной камере 1 и повернут в сторону напорного водовода, а
другой конец посредством водопровода 6 соединен с внутренней полостью 12
промежуточной балки 8 разделителя потока 4, причем концевые балки 7 и
промежуточная балка 8 размещены внутри полости эластичной оболочки 9 и своими
концевыми частями жестко связаны со стенками водоприемно-водовыпускной камеры
1, эластичная оболочка 9 связана посредством жесткого крепления 13 с внешними
сторонами концевых балок 7 разделителя потока 4, а фиксирующие тяги 10
размещены внутри эластичной оболочки 9 и связывают противоположные поверхности
эластичной оболочки 9 с возможностью ограничения максимального расстояния между
ними [5].
Устройство выполняет свою работу следующим
образом. Водный поток, при работе водоприемника-водовыпуска в турбинном режиме, поступая из
напорного водовода 3, проходит мимо управляющего элемента 5, выполненного в
виде трубки 11, создавая давление,
под действием которого
вода вовлекается в замкнутую полость 12 разделителя потока 4 посредством
водопровода 6. Нагнетаемая подобным образом вода в полость разделителя
раздувает эластичную оболочку 9 до момента, когда дальнейшему нагнетанию
начинают
4
препятствовать
фиксирующие тяги 10, прикрепленные к эластичной оболочке 9 с внутренних сторон
разделителя потока 4 (рис.4), ограничивая максимальное расстояние между ними,
тем самым создавая оптимальную раструбность диффузорного участка камеры водоприемника-водовыпуска для
турбинного режима работы ГЭУ и наименьшие потери напора.
При прохождении водного
потока мимо управляющего элемента 5 в обратном направлении, при использовании водоприемника в насосном режиме,
за последним создастся разряженная область, в которую устремляется вода из
полости разделителя потока, тем самым спуская эластичную оболочку 9 (рис.5) и
обеспечивая оптимальный угол для текущего режима работы ГЭУ.
Таким образом: в предлагаемом устройстве
за счет применения автоматически изменяющего толщину разделителя потока
обеспечивается оптимальная раструбность водоприемно-водовыпускной камеры водоприемника-водовыпуска как для
турбинного, так и для насосного режимов без использования какого-либо
механического оборудования, а следовательно, обеспечивается его работа с
наименьшими потерями энергии. Использование устройства обеспечит упрощение
эксплуатации из-за того, что не требуется применение подъемного или иного
механического оборудования для изменения положения и формы разделителя потока,
поскольку раструбность водоприемно-водовыпускной камеры изменяется
автоматически.
В свою очередь, работа устройства без
механического оборудования повысит надежность водоприемника-водовыпуска, поскольку не будет зависеть от
надежности и работоспособности этого механического оборудования. Кроме того,
уменьшится материалоемкость и стоимость водоприемника-водовыпуска за счет выполнения разделителя
потока из отдельных балок и применения более дешевого материала - эластичной
оболочки. Дополнительное снижение материалоемкости и стоимости
обеспечивается за счет отказа от дорогостоящего механического оборудования
[5,6].
Вывод: В результате применения
предлагаемого устройства достигается комплексный экономический эффект. За счет
упрощения эксплуатации снизится численность обслуживающего персонала. В связи с
этим уменьшатся расходы на выплату заработной платы. Кроме того, за счет
снижения материалоемкости только на 2 т металла, с учетом экономии транспортных
расходов, может составить около 480-500 тыс.тенге. на одну конструкцию.
Список использованной
литературы:
1.
Образовский А. С. и др. Водозаборные сооружения для водоснабжения из поверхностных источников.
— М.: Стройиздат, 1976г.
2. Колесникова Т. В. Защита водозаборных сооружений от льда и шуги. — Гидротехника и
мелиорация, 1980г.
3. Чудновский С.М., Степанов
А.И., Мезенцева Е.А. Водозаборные сооружения из поверхностных источников:
Учебное пособие – Ленинград: СЗПИ, 1989г.
4. Проектирование сооружений для забора
поверхностных вод. -М.: Стройиздат, 1990г.
5. Патент № 2389847, действующий от
29.10.2008г и выданный "Самарский
государственный архитектурно-строительный университет" (СГАСУ) на имя Бальзанников
М.И.
6.
Забабурин И. А. Регулирование потоков у водозаборных сооружений (гидравлические и
гидрологические обоснования). — Харьков, Высшая школа, 1982г.
7. Патент № 2389846,
действующий от 29.10.2008г и выданный "Самарский государственный
архитектурно-строительный университет" (СГАСУ) на имя Селиверстов В.А.
5