Д.Е.
Дзюба, студентка 3 курса ветеринарно - биологического факультета ФГБОУ ВПО
МГАВМиБ им. К.И. Скрябина, г. Москва
А.А.
Олешкевич, к.б.н., доцент кафедры информационный технологий, математики и
физики ФГБОУ ВПО МГАВМиБ им. К.И. Скрябина, г. Москва
ИЗУЧЕНИЕ СПЕКТРА ДЕЙСТВИЯ ТЕРАПЕВТИЧЕСКИХ ИНТЕНСИВНОСТЕЙ УЛЬТРАЗВУКОВЫХ
КОЛЕБАНИЙ НА ПАРАМЕТРЫ ЖИВЫХ СИСТЕМ РАЗНОГО УРОВНЯ ОРГАНИЗАЦИИ.
Ультразвук (УЗ) занимает
особое место в современной медицинской диагностике как метод визуализации;
широко применяется в физиотерапии для восстановления функционального состояния
клеток и тканей после отдельного УЗ-воздействия или фонофореза. Также УЗ
активно используется для неинвазивного разрушения опухолей различных органов [1,2].
В связи с этим важным остается проследить действие терапевтических интенсивностей
на различные клетки, образующие системы целостного организма.
Учитывая всё
вышеизложенное, научная работа была органично разделена на две части. Первая
часть охватывает изучение возможности управления биологической системой при
помощи физических факторов. Данная часть является разработкой и апробацией
методов воздействия УЗ на культуру клеток почки телёнка. Вторая часть работы включает
воздействие на кровь in vivo и in vitro.
Представленные ниже данные являются кратким отчётом по заявленной научной
программе.
Актуальным остается определение
спектра биологического действия УЗ – волн терапевтических частот и
интенсивностей на клетки и ткани. Целью исследования было определение параметров
УЗ-воздействия для направленного управления ростом и гибелью живой системы.
Для достижения
поставленной цели были определены следующие задачи:
1)
выбор
схемы, монтаж оборудования и отработка методик озвучивания;
2)
определение
параметров УЗ-воздействия на живую систему, вызывающих максимальную скорость
пролиферации;
3)
определение
параметров УЗ-воздействия на живую систему, как ускоряющих, так и тормозящих её
гибель;
4)
построение
математической модели процессов роста и гибели;
Материалы и методы.
Экспериментальная работа
была выполнена на кафедре вирусологии, кафедре биофизики и физики и кафедре
информационных технологий, математики и физики ФГБОУ ВПО МГАВМиБ им. К.И.
Скрябина.
Биологической моделью
была выбрана трёхсуточная перевиваемая культура клеток почки телёнка MDBK,
преимуществами которой является возможность многократного воспроизведения
результатов и возможность использования простых методов оценки результатов.
Культивирование проводили при температуре 37°С на среде Игла с
добавлением 10% телячьей сыворотки или 10% сыворотки КРС, антибиотиков (100
мкг/мл), 5% C5H10N2O3 и NaHCO3
до установления нейтрального значения рН. Монослой формировался через 24 – 96
часов. При традиционном культивировании индекс пролиферации составляет 3,5-4,0.
Пролиферативную активность учитывали
через 36 ч. путём подсчёта трипсинизированных клеток в камере Горяева. О
пролиферативной активности судили по скорости формирования монослоя, индексу
пролиферации и отсутствию в клетках дегенеративных изменений [3,4]. Индекс
пролиферации — это отношение числа выросших к количеству засеянных клеток
в определённом объёме среды. Жизнеспособность клеток до и после применения УЗ
определяли с помощью методики окраски трипановым синим [5,6]. Краситель не проникает
через мембрану живых клеток; у имеющих же дегенеративные изменения мембраны (разрыв)
ядра окрашиваются.
,
где Nc.к. – количество клеток,
окрашенных в синий цвет; NО - общее количество клеток; %Nж.к. —
жизнеспособность клеток. Для окраски использовали 0,4% раствор трипанового
синего в буферном изотоническом солевом растворе, рН 7,2 —
7,3 (фосфатно-солевой буфер). Клетки с красителем смешивали в пропорции 10:1,
после этого 10 мкл окрашенной суспензии вносили под покровное стекло камеры
Горяева и вели исследование под микроскопом. Для каждого теста просматривали не
менее 150 клеток.

На рис 1. представлена схема УЗ - воздействия на суспензию
клеток.
|
|
Рис. 1.
Схема воздействия на суспензию клеток. 1 — суспензия клеток; 2 — стеклянная кювета; 3 —
излучатель 0,88 – 1.04 Ф; 4 —
аппарат УЗТ-1-01Ф или УЗТ-1.02 С. Несущая частота УЗ 880 кГц. Время
воздействия 5 – 30 с. SATA – интенсивность
0,02 - 0,3 Вт/см2. Обработке УЗ подвергались образцы суспензии
объёмом 10 мл, которые содержали не менее8•104 клеток/мл. |
На фото. 1 представлены
приборы, использованные в исследовании.
|
|
Фото. 1.Установка для УЗ – воздействия: 1 — термостат U7c; 2 — УЗТ-1-01Ф; 3 — УЗТ-1.02 С; 4 – УЗ – излучатель 0,88 – 1.04 Ф. |
Построение математической модели проводилось на ПК,
в многоцелевом приложении Windows - программе CurveExpert 1.3. Выражаем
благодарность ГНЦ РФ ИМБП РАН за предоставленную возможность работать в указанной
программе. Приложение содержит большое число регрессионных моделей (как
линейных, так и нелинейных), множество схем интерполяции данных, что позволяет
представить данные в наиболее удобном и точном формате.
Результаты.
Средние результаты
обработки приведены в таблице.
На фотографиях (фото 2 –
4) представлен монослой культуры клеток почки телёнка после УЗ – воздействия.
|
|
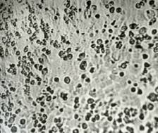
Фото. 2. Интенсивность 0,05 Вт/см2, время 10 с. Увеличение 312х. Отличий в структуре клеток от контроля не обнаружили.
Монослой сформирован полностью. |
|
|
Фото. 3. Интенсивность 0,2 Вт/см2, время
10 с. Монослой частично разрыхлён. |
|
|
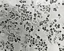
Фото. 4. Через 24 часа после обработки
интенсивностью 0,2 Вт/см2 в течение 30 с. Монослой неполный, наряду с нормальными клетками
видны клетки дегенеративного характера. Заметно разрыхление монослоя, лизис
отдельных клеток, скопление клеток, агрегация. |
Сводная таблица
результатов УЗ – воздействия на культуру клеток.
|
Время воздействия УЗ
(с) |
Интенсивность
действующего УЗ (Вт/см2) |
Прирост клеточной
массы (клеток/мл), *105 |
Индекс пролиферации;
± 0,2 |
|
0 |
0 |
3,50±0,05 |
3,5 |
|
5 |
0,02 |
4,50±0,02 |
5,6 |
|
0,03 |
5,90±0,02 |
7,4 |
|
|
0,05 |
6,20±0,02 |
7,7 |
|
|
0,06 |
5,50±0,02 |
7,0 |
|
|
0,08 |
4,40±0,02 |
5,5 |
|
|
0,1 |
3,40±0,02 |
4,2 |
|
|
0,2 |
2,00±0,02 |
2,5 |
|
|
0,3 |
1,40±0,02 |
1,7 |
|
|
10 |
0,02 |
5,30±0,02 |
6,7 |
|
0,03 |
7,00±0,02 |
8,7 |
|
|
0,05 |
7,20±0,02 |
9,0 |
|
|
0,06 |
6,80±0,02 |
8,5 |
|
|
0,08 |
5,90±0,02 |
7,4 |
|
|
0,1 |
4,80±0,02 |
5,9 |
|
|
0,2 |
2,80±0,02 |
3,5 |
|
|
0,3 |
2,10±0,02 |
2,6 |
|
|
30 |
0,02 |
4,00±0,02 |
5,0 |
|
0,03 |
5,00±0,02 |
6,2 |
|
|
0,05 |
5,80±0,02 |
7,2 |
|
|
0,06 |
5,00±0,02 |
6,2 |
|
|
0,08 |
3,50±0,02 |
4,4 |
|
|
0,1 |
2,30±0,02 |
2,9 |
|
|
0,2 |
0,80±0,02 |
1 |
|
|
0,3 |
0, клеток нет |
0 |
Построение математической модели.
Для
определения математической модели была выбрана зависимость индекса пролиферации
от интенсивности УЗ. Для построения графика, описывающего рост культуры клеток, анализировались интенсивности от 0,02 до 0,05
Вт/см2, т.к. они приводят возрастанию индекса пролиферации. Для
подбора математической модели, описывающей гибель
клеток, использовали интенсивности от 0,06 до 0,3 Вт/см2, т.к. был
определён их угнетающий эффект на клеточную пролиферацию. Также было построена
общая модель роста и гибели клеток.
На предмет
соответствия было исследовано большое количество функций; наиболее
информативными, с нашей точки зрения, являются следущие:
Rational function
; Bleasdale Model
;
Modified Hoerl Model
; Gaussian Model
;
Vapor Pressure Model
; MMF Model
;
Heat Capacity Model
; Harris Model
;
Reciprocal Quadratic
; Logarithm Fit
;
Heat Capacity Model
; Exponential Fit
;
3rd degree Polynomial Fit
.
Из приведённого
множества подобранных функций была выбрана одна, наиболее точно описывающая одним
уравнением как рост, гибель клеточной линии, так и рост и гибель вместе - Modified Hoerl Model
.
На рисунках
№ 2–4 представлены графики гибели культуры клеток почки телёнка, а на № 5–7
показаны совмещённые графики роста и гибели культуры, заданные Modified Hoerl Model с различными коэффициентами;
по оси X – интенсивность (Intensity),
Вт/см2, по оси Y – индекс
пролиферации (Proliferation index), S
– стандартная ошибка, r – коэффициент
корреляции.
|
|
Рис. 2.
Время 5 с. a = 6,66; b = 1,01; c = -7,59. |
|
|
Рис. 3.
Время 10 с. a = 8,85; b = 9,80; c = -9,24. |
|
|
Рис. 4.
Время 30 с. a = 4,45; b = 9,57; c = -2,01. |
|
|
Рис. 5.
Время 5 с. a = 3,11; b = 9,49; c = -1,40. |
|
|
Рис. 6.
Время 10 с. a = 6,96; b = 9,56; c = -1,14. |
|
|
Рис. 7. Время 30 с. a = 4,42; b = 9,21; c = -2,22. |
Выводы.
Работа на культуре
клеток почки телёнка считается полностью завершённой, так как достигнуты
поставленные цели. Выбрана оптимальная схема воздействия: излучатель направлен
непосредственно в суспензию; охлаждение проточным методом. Была проверена
возможность управления процессами роста и гибели культуры клеток.
Определены параметры УЗ
– воздействия, активирующие клеточную пролиферацию in vitro: 0,02 – 0,05 Вт/см2, время 5–10 секунд.
Определён диапазон
интенсивностей УЗ, вызывающий гибель клеток: 0,08 – 0,3 Вт/см2. Увеличение
времени экспозиции выше 10 с существенно ускоряет этот процесс. Понижение
значения одного из физических параметров — замедляет.
Выбрана математическая
модель с минимальной остаточной дисперсией и высоким коэффициентом корреляции,
описывающая рост и гибель культуры: Modified Hoerl Model. Дальнейшие
исследования проводятся по изучению влияния модулированных УЗ волн на жидкую
ткань организма – кровь.
Литература.
1. Fry, F.J. and
Johnson, L.K. (1978). Tumour irradiation with intense ultrasound. Ultrasound Med. Biol. 6, 33 – 38. 2. Хилл, К. УЗ в медицине. Физические основы применения / К. Хилл,
Дж. Бэмбер, Г. тер Хаар. Пер с англ. под ред. Л.Р. Гаврилова, В.А. Хохловой,
О.А. Сапожникова. – М.: ФИЗМАТЛИТ, 2008. – 544 с. 3. Смирнова Л.П., Олешкевич А.А.,. Смоленский В.И. Исследо-вание
влияния УЗ и митагенов на клеточные культуры// УЗ в с/х.– М.- 1988.– С.49-52. 4. Дьяконов Л.П. и др Культивирование
клеток и тканей живот-ных: Ставрополь, 1986.– 96с. 5. Tennant,
J.R. Evaluation of the trypan blue technique for determination of cell
viability / J.R. Tennant. Transplantation, 1964. A. 3. P. – C. 685-694. 6. Скибо Ю.В., Абрамова З.И. Методы исследования программируемой клеточной гибели /Ю.В. Скибо, З.И.Абрамова. - Казань: ФГАОУ ВПО КФУ, 2011.- 61 с.